相关文章  
  • 微生物在硫素循环中的作用
  • 微生物在磷循环中的作用
  • 什么是微生物
  • 体积小,面积大
  • 分布广,种类多
  • 微生物在整个生命世界中的地位
  • 细菌的形态和大小
  • 细菌细胞的构造
  • 细菌的繁殖
  • 细菌的菌落
  •   推荐  
      科普之友首页   专利     科普      动物      植物    天文   考古   前沿科技
     您现在的位置在:  首页>>动物 >>生命科学

    放线菌的形态、大小和结构

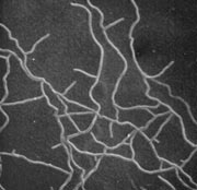
    放线菌的菌丝(标尺:5μm))

      放线菌的形态比细菌复杂些,但仍属于单细胞。在显微镜下,放线菌呈分枝丝状,我们把这些细丝一样的结构叫做菌丝,菌丝直径与细菌相似,小于1微米。菌丝细胞的结构与细菌基本相同。

    链霉菌的一般形态和构造(模式图)

    < 1 >   < 2

         

          设为首页       |       加入收藏       |       广告服务       |       友情链接       |       版权申明      

    Copyriht 2007 - 2008 ©  科普之友 All right reserved